Create a Website Account - Manage notification subscriptions, save form progress and more.
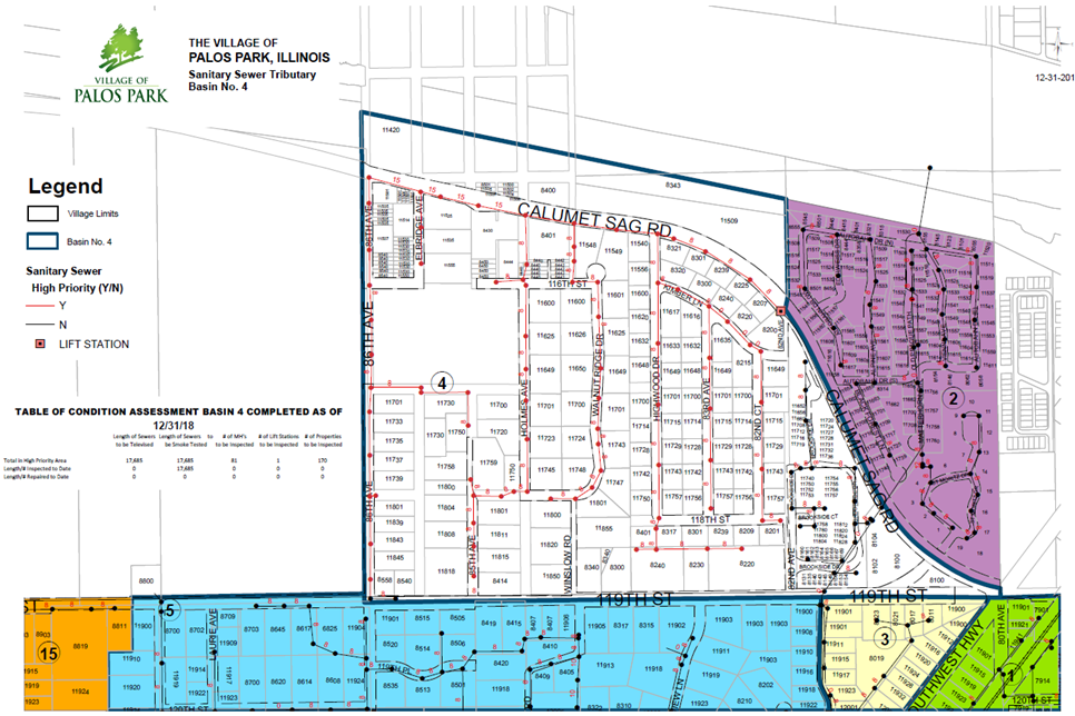
Visu Sewer will be starting sanitary sewer cleaning and televising work on Monday March 24, 2025. The map of the area of work is attached. Residents in the white area will be those impacted. The work is projected to take 2 weeks, weather depending.